Awaiting resubmission
Sheridan Retail Inc.

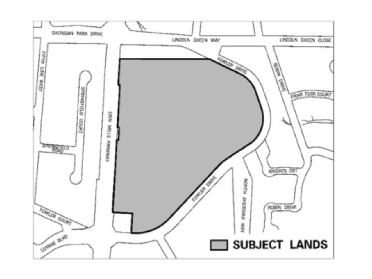
2225 Erin Mills Parkway – OZ/OPA 23-4 W8

Development application includes two 15 storey apartment buildings containing 620 units and 713 parking spaces.
Posted: September 15, 2025 - Updated: November 12, 2025

The remediation of potential on-site contamination will be evaluated through the review of these applications and addressed in the Corporate Report.

Project documents

Contact

City Planner

For more information on this application, email City Planner Eleni Mermigas at eleni.mermigas@mississauga.ca.

Ward Councillor

Ward 8 Councillor Matt Mahoney

View all applications