Under review
Dahab Homes Inc.

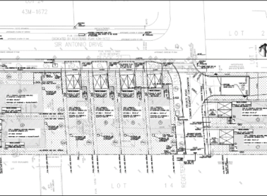
120 Fairview Road West – OZ 24-6 W7 and 21T-M 24-3 W7

Development application includes a change to the use of these lands to allow 9 detached homes.
Posted: September 15, 2025 - Updated: September 15, 2025

Contact

City Planner

For more information on this application, email City Planner Jaspreet Sidhu at jaspreet.sidhu@mississauga.ca.

Ward Councillor

Ward 7 Councillor Dipika Damerla

View all applications